homescontents beylikdüzü escort istanbul escort manavgat escort sesli sözlük sesli sözlük sözlük Проститутки Бишкека gaziantep escort Проститутки Бишкека film izle deneme bonusu veren siteler 2026 deneme bonusu veren siteler deneme bonusu veren siteler deneme bonusu veren siteler 2026 sara jay porn tube sahabet Ankara escort
homescontents
pendik escort maltepe escort anadolu escort bostancı escort kadıköy escort ataşehir escort ümraniye escort
เพิ่มสินค้าสำเร็จ!
ไม่สามารถเพิ่มสินค้าได้!
babilbet giriş jascasino giriş jascasino güncel giriş jascasino yeni giriş jascasino yeni giriş ilbet yeni giriş tulipbet yeni giriş piabella casino bahisbudur giriş betmoney giriş starzbet yeni giriş megapari yeni giriş levantcasino giriş radabet yeni giriş bahisbey yeni giriş Bircasino yeni giriş diyarbet yeni giriş runtobet yeni giriş
สาระน่ารู้ข่าวสาร

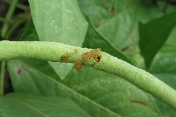
ระวัง!หนอนเจาะฝักถั่ว

    หนอนเจาะฝักถั่ว เป็นผีเสื้อกลางคืนขนาดเล็กมีแถบสีขาวคาดขวางบริเวณโคนปีกคู่หน้า เพศเมียวางไข่เป็นฟองเดี่ยวๆ บนฝักอ่อนบริเวณฐานของฝักหรือลำต้นใกล้ๆ กับฝัก เมื่อฟักออกเป็นตัวหนอนจะเจาะเข้าไปอาศัยกัดกินเมล็ดอยู่ภายในฝัก

 

  

 

    หนอนมีลำตัวสีเขียวและเปลี่ยนเป็นสีเขียวเข้มหรือแดงม่วง หนอนที่มีขนาดโตเต็มที่มีจุดสีดำด้านข้างและมีแถบสีดำพาดตามความยาวของลำตัว หัวสีน้ำตาลเหลืองเคลื่อนไหวได้ว่องไวมาก และเมื่อหนอนโตเต็มที่จะกัดฝักออกมาเพื่อเข้าดักแด้ในดินหรือตามเศษซากพืช
 

  

 

 

การป้องกันกำจัด

  • ใช้วิธีกล โดยก่อนปลูกพืชประมาณ 2 สัปดาห์ ให้เกษตรกรไถพรวนพลิกดินขึ้นมาตากแดด โดยไถให้ลึกจากผิวดินมากกว่า  20 เซนติเมตรขึ้นไปและตากดินไว้ให้นาน เพื่อกำจัดดักแด้ที่อยู่ในแปลงปลูก
  • สำรวจแมลงหากพบตัวเต็มวัยของหนอนเจาะฝัก หากพบใช้ ฟิพเปอร์ 30 ซีซี หรือ เท็นสตาร์ 15-20 ซีซี หรือ ไฮ-นิว20 30-40 ซีซี   ต่อน้ำ 20 ลิตร ฉีดพ่นในระยะถั่วเริ่มติดฝักอ่อนจนถึงเก็บผลผลิต
 
 

 
 

 



bakerdepolama.com
วิธีสั่งของออนไลน์
Designed By: josen